Here in Colorado, it is grape harvesting season. For wine lovers everywhere, this is a very good time of year. Grape harvesting is one of the most important procedures for grapevine producers. In many countries, the day of harvesting is so great that producers organize fiestas to celebrate the great event.
Harvesting period for grapes, generally starts 30-70 days after fruit set, by the time berries change color from green to yellow (for white varieties), or red-purple (for red varieties). During this stage, there is normally have an increase in sugars and a decrease in acids inside the fruits. In general, in the northern hemisphere, most varieties mature from August through November, while in the southern hemisphere from March to August.
When Mike, Lauren, Larry and I discovered the Blue Mountain Vineyard A New Winery a couple of weeks ago, we learned about their harvest party and we all decided we wanted to help with the event. We got up early and dressed for the occasion, in comfortable working clothes and shoes that it didn’t matter if they got muddied. And muddied they got too. The lands were caked with fresh, thick, slippery, sludgy mud. And to the harvest party we went.



In most cases, grapes are hand-harvested. Hand-harvesting is performed using knives and/or shears, either manual or electric. After whole bunches are cut, workers place them in collection baskets and transfer them to the winery (wine varieties) or to special warehouses (table grapes varieties). Table grape varieties can only be harvested by hand. They cannot be harvested mechanically, because they will be bruised. After harvested, table grapes are cooled and transferred to packaging warehouses.
There were about 50 people from all over who joined the festivities. We all arrived at the winery around 8:00 AM and were picking Marquette grapes. Before we went picking, the Blue Mountain Vineyard gave us a little pep talk and provided a delicious array of muffins, Danishes, and croissants to help energize us. There were plenty of other varietals of grapes on the vines, but the Marquettes were the only ones were picking this time.


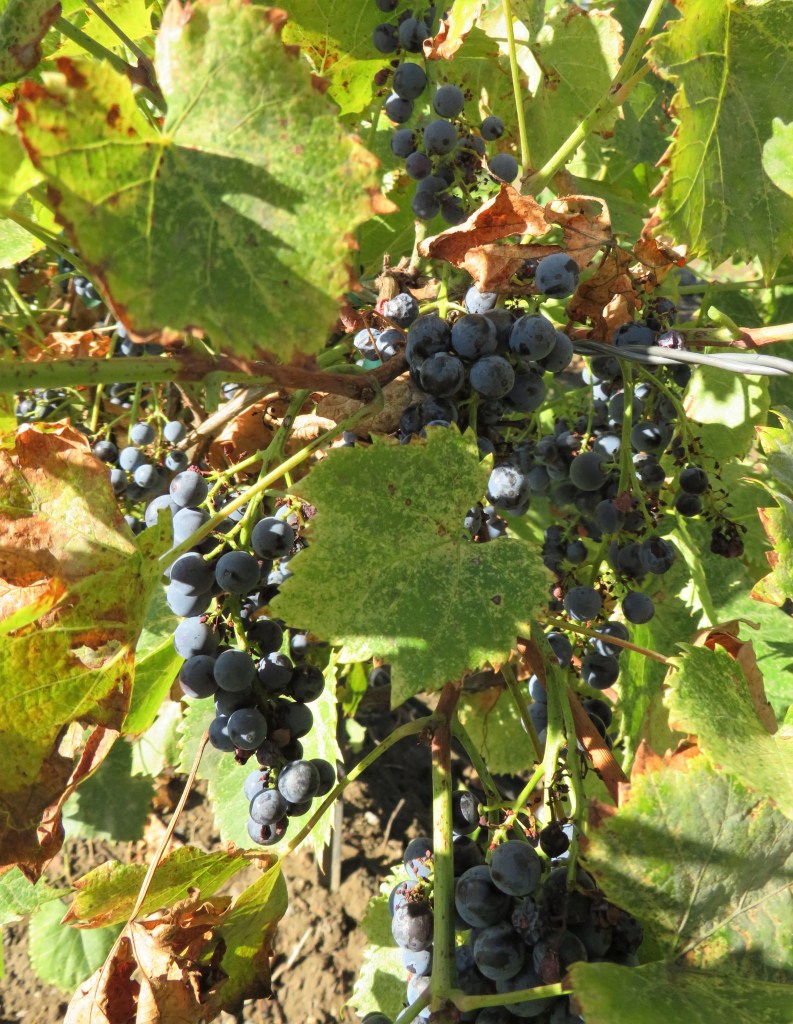
We even had a little help from friends.


Mike worked up an appetite and had to sample some of the grapes.

I don’t know how much each big bin holds, but between all of us, we picked enough grapes to completely fill 3 of them.

The staff was already hard at work stomping the grapes as soon as the bins were filled and brought back to the production area.

After the grapes were picked, we were all invited to enjoy a glass of wine to celebrate all our hard work. I chose to have a glass of the Marquette Blush, since those were the grapes we picked. This glass was from the harvest from a couple of years ago.

Tucker (the dog) was one of our supervisors, making sure we did everything correctly. I think he was happy with how we did everything. He gave us his stamp of approval.

Bear was one of the other supervisors. Bear said you have to mix in just the right amount of drool to perfect the wines. It’s their secret fermenting ingredient. 🙂

We all had a lot of fun and decided this is something we would definitely like to partake in again next year. I have now picked the grapes, put them through the presser, stomped them, and of course, enjoyed the nectars of the gods many times, all from different locations and wineries, at different times. I guess I am now an honorary vintner. 🙂
Put some fun into everything you do. Life is short. Enjoy it to the best of your abilities everyday. Make everyday fun and make everyday great. Stay safe and stay well. ‘Til next time.
That looks like a lot of fun doing the grape harvest and making wines!! 😃😃. How long did that take you guys to do grape harvest and wine making?
LikeLiked by 1 person
It was a lot of fun. We were there form 8-12. 🙂
LikeLike
What fun!
LikeLiked by 1 person
It was a lot of fun. Hard work, but a lot of fun. 🙂
LikeLiked by 1 person
How fun this must’ve been!♥🍇
LikeLiked by 1 person
It was a lot of fun, but then we always have a good time. 🙂
LikeLiked by 1 person
What a fun way to spend a morning, I know this is an old post, but it was just sitting here waiting for me to look at it and answer it so here I am!
LikeLiked by 1 person
Cool beans! 🙂
LikeLike